FOÇAGÜNDEM - İzmir Foça'da Atatürk Mahallesi'nde 1227 ada 2 parsel numaralı taşınmazın statüsü, yapılan sondaj kazıları sonucunda tesadüfen elde edilen arkeolojik bulgular doğrultusunda değiştirilerek en üst seviye sit alanı haline getirilmişti.
Kültür ve Turizm Bakanlığı, daha önce 3. Derece Arkeolojik Sit alanı içerisinde kalan parselin bir kısmını yeni buluntular ışığında 1. Derece Arkeolojik Sit olarak tescil etmişti. Geçtiğimiz ay duyurulan arkeolojik buluntularla ilgili ilk belirlemelere göre M.Ö. 6'ıncı yüzyıla işaret eden Arkaik ve Hellenistik Döneme ait seramik parçalar olduğu belirtilmişti. Bakanlık, taşların durumlarının tahrip olduğunu belirterek bölgedeki yapılaşmanın önünü kesmişti.
TAŞLAR MÜZEYE TAŞINACAK
Söz konusu taşınmaz üzerindeki koruma önlemleri en üst seviyeye çıkarılınca Kültür ve Turizm Bakanlığı İzmir 2 Numaralı Kültür Varlıklarını Koruma Bölge Kurulu, arkeolojik buluntunun koruma altına alınmasını kararlaştırdı.
Resmi Gazete'de bugün (16 Nisan) yayınlanan kararla taşınmazın güneydoğu kısmında tespit edilen tek sıra tüf taşlarının korumaya alındığı ve uygun şekilde taşınması gerektiği açıklandı.
Kurul, bu taşların müze denetiminde uygun görülen bir yöntemle yerinden kaldırılarak ilgili müze müdürlüğüne taşınmasına karar verdi. Öte yandan taşma işlemi sonrası sondaj çukurlarının uygun şekilde kapatılması ve sürecin belgelenmesi zorunlu tutuldu.


Açıklamanın tamamı şöyle:
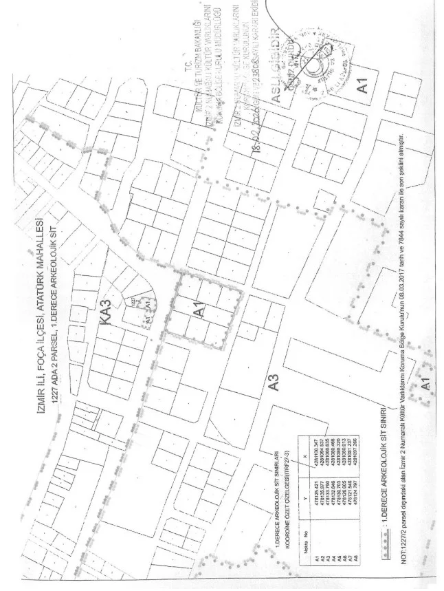
"İzmir ili, Foça ilçesi, Atatürk Mahallesinde, Foça Özel Çevre Koruma Bölgesi sınırları kapsamında; İzmir 1 Numaralı Kültür ve Tabiat Varlıklarını Koruma Kurulu’nun 09.09.1993 tarih ve 4685 sayılı kararı ile belirlenen ve İzmir 2 Numaralı Kültür Varlıklarını Koruma Bölge Kurulu’nun 08.03.2017 tarih ve 7844 sayılı kararı ile sınırları son şeklini alan Kentsel-3. (Üçüncü) Derece Arkeolojik Sit içerisindeki, Koruma Amaçlı İmar Planı bulunmayan, tapuda 1227 ada 2 parsel numarasında tüzel kişilik mülkiyetinde kayıtlı taşınmaza ilişkin Kurulumuzun 16.12.2025 tarihli ve 23390 sayılı kararı, Kurul Müdürlüğüne revize sondaj rölövesinin iletildiği 17.02.2026 tarihli dilekçe ve taş kaldırma raporu ile Kurul Müdürlüğü uzmanlarınca hazırlanan 18.02.2026 tarih ve 405733 sayılı eki kayıtlı rapor okundu, ekleri ve işlem dosyası incelendi. Yapılan görüşmeler sonucunda;
İzmir ili, Foça ilçesi, Atatürk Mahallesinde, Foça Özel Çevre Koruma Bölgesi sınırları kapsamında ve Kentsel-3. (Üçüncü) Derece Arkeolojik Sit içerisindeki, tapuda 1227 ada 2 parsel numarasında tüzel kişilik mülkiyetinde kayıtlı taşınmazda gerçekleştirilen sondaj kazıları sonucunda ortaya çıkan buluntulara ilişkin sondaj rölövesinin uygun olduğuna, taşınmazın kararımız eki paftada gösterildiği şekilde kısmen 1. (Birinci) Derece Arkeolojik Sit olarak tescil edilmesine, sit fişinin uygun olduğuna, Kurulumuzun 16.12.2025 tarihli ve 23390 sayılı kararı gereği, taşınmazın güneydoğu kısmında konumlanmış tek sıra tüf taşların Müzesinin uygun göreceği yöntem ile 1. (Birinci) Derece Arkeolojik Sit sınırları içerisine ilgili Müzesinin denetiminde taşınmasına, sondaj çukurlarının ilgili Müzesinin uygun göreceği yöntem ve malzeme ile kapatılarak çalışma sonucundan Kurul Müdürlüğüne bilgi verilmesine, taşınmazda gerekli güvenlik önlemlerinin ilgililerince alınmasına karar verildi."